Additions to the Crawford Creek subdivision and a proposed fitness center in Grovetown are two of the burgeoning projects the Columbia County Planning Commission will have to consider this month.
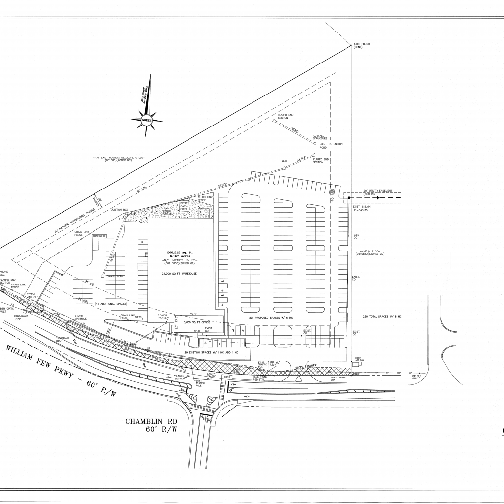
A conditional use request for a six-acre parcel at 1901 William Few Pkwy is on the Planning Commission’s agenda for Thursday. The parcel is zoned general industrial district, and the 27,000 square foot building there is currently vacant. W.R. Partners, a limited liability company that acquired the property at the end of November last year, submitted the request along with applicant Bill Smith on Feb. 15.
Smith notes in the narrative document attached with the application that “the ability to easily access this parcel by residents in this area is a great benefit in their pursuit of health-related activities.” The application includes a sketch of the proposed updates to the property, which would include increasing the number of parking spaces from its current 31 to 270, along with an entry and exit access a right-in/right-out at the midpoint from the intersection of Chamblin Road and William Few.

The planning staff, however, has observed that the increase in parking and the accompanying site improvements raise concerns about access to the property. Traffic Engineering commented that “the narrative and concept does not demonstrate how the development will mitigate the challenges in providing safe and efficient access to the property,” according to the staff report. While the request is scheduled to be addressed by the Planning Commission Thursday, the staff recommended that it be postponed until March 31.
BESA Development Group has two requests already scheduled for the Planning Commission to tackle at the end of March, both regarding an expansion of its Crawford Creek neighborhood in Evans. One request is a major revision for the planned unit development, to accommodate BESA’s proposed addition of 64 townhomes near the subdivision’s Hereford Farm Road entrance, on a tract of land currently approved for assisted living homes. This would bring the total lots in the development from 1,047 to 1,111. The homes would be two to three stories, ranging from 1,300 to 1,400 square feet.

BESA is also requesting revisions on the side setbacks on two of these proposed new lots on Lillian Drive, reducing them from 10 feet to six feet. Both requests are scheduled to go before the Planning Commission on March 31, and then before the Board of Commissioners on April 19.
Skyler Q. Andrews is a staff reporter covering education in Columbia County and business-related topics for The Augusta Press. Reach him at skyler@theaugustapress.com.
[adrotate banner=”15″]


